40.5 ACRES, Coburg, in Southeastern New Brunswick
Here is a nice quiet acreage in the desirable Southeastern New Brunswick area near the seaside community of Port Elgin. Year-round access via the well kept Coburg Road and only minutes from the Trans-Canada Highway leading to Prince Edward Island. The ocean is just a few minutes away. This is a wonderful area for hunting and outdoor recreation! Survey recently completed.
| Lot Size: | 40.5 acres |
| Location: | Corburg Road, Coburg, Westmorland County, New Brunswick |
| Reference #: | NB-1024 |

Overhead view of the property showing a healthy, maturing forest. Harvested in 2010, the land has seen beautiful regrowth and management through the local woodlot cooperative.
A drone view outlining the rough property boundaries.
Overhead view of outlining the property and surrounding area, looking towards the Village of Port Elgin and Baie Verte.
Looking in a southeasterly direction along Coburg Road.
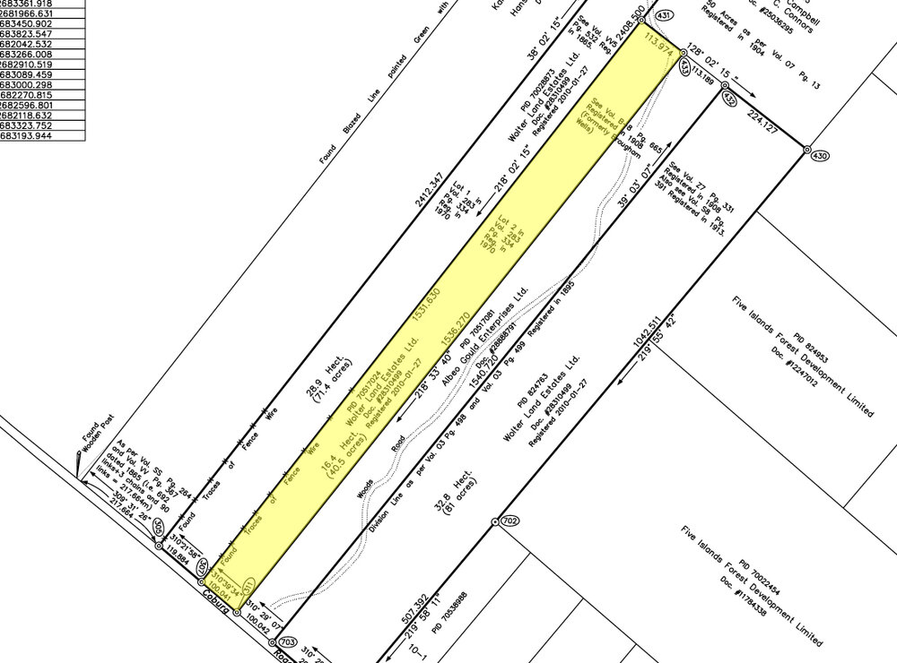
Land located at Coburg, in the Parish of Westmorland, County of Westmorland, and Province of New Brunswick.
40.5 Acres or 163,898 sq.meters in area
- Surveyed in 2011
- Borders Coburg Road - a quiet gravel surface country road.
- Excellent access from the Trans-Canada Highway - Highway 16.
- Excellent hunting, fishing, outdoor activities on the land and area.
- 5 to 10 minutes from the seaside communities of Baie Verte and Port Elgin.
- 20 minutes to Cap Pele along the Northumberland Strait where you can enjoy the beautiful sandy shores and fresh locally caught and prepared seafood.
- 20 minutes to the University Town of Sackville.
- 40 minutes to the seaside town of Shediac - known as the Lobster Capital of Canada and for its fine sand beaches and excellent swimming and watersport.
- 40 minutes to the City of Moncton and Greater Moncton International Airport.
Rectangular in shape, this parcel offers 100.041 meters (328.219 feet) of road front on the northeastern side of Coburg Road. Average depth of the parcel measures 1536.175 meters (5,039.94 feet). Topography of the land is more or less level, being 75 feet above sea level. The woodland consists of young spruce, fir, pine, maple, birch, poplar. The last timber harvest was in 2009.
The area is popular amongst those who enjoy the outdoors, fresh clean air and quiet enjoyment of their own acreage. An excellent location for a seasonal camp or cabin, hobby farm, an acreage where you may raise horses, and for an off-grid residence.
Many visitors to the Southeast region of New Brunswick discover during their vacation that this beach-rich paradise would be an ideal place own property. The area surrounding your property is very nice. A very short drive and you will arrive at the wide sandy beaches of Cape Tormentine where you can relax, sunbathe on a warm sunny day and enjoy the incredible views of the ocean and Confederation Bridge in the distance. Clam digging along the shores of Baie Verte and splashing around the warm waters is always a favourite pastime among children.
Take a short ½ hour drive trip to Sackville, the lovely town with tree-lined streets and home of Mount Allison University. Here you will also find historic homes, churches, restaurants, coffee shops, business center and much more.
The land is easily accessed from the Trans-Canada Highway. Turn onto Coburg Road and follow for 3.5 kilometers (2.2 miles) along Coburg Road to the land on the northern side of the road. This quiet stretch of country road is lightly settled with residences, farm land, open fields, horse pastures, tree farms, woodland, and seasonal camps. Corner posts identify the parcel’s location. Power and phone service is 1 kilometer (3,280 feet) away.
PRICE: Term Sale: $42,000.00, payable $5,040.00 down payment with order and eighty-four (84) monthly payments of $440.00 each, and interest. 10% discount if paid in full within 30 days: $37,800.00, if paid $4,000.00 down payment with order and the balance of $33,800.00 within thirty days thereafter

Overhead view of the property showing a healthy, maturing forest. Harvested in 2010, the land has seen beautiful regrowth and management through the local woodlot cooperative.
A drone view outlining the rough property boundaries.
Overhead view of outlining the property and surrounding area, looking towards the Village of Port Elgin and Baie Verte.
Looking in a southeasterly direction along Coburg Road.
