14.4 acres Recreation Land Near Moncton. Lot 21-D
A very spacious and private 14.4 acre property offered in MacDougall Settlement just 20 minutes from the city of Moncton and 10 minutes to the Northumberland Strait and nice beaches. This is a great spot to for your relaxing private get-away yet close to town and amenities. Great access to the recreation trails for biking, hiking, ATVing and snowmobiling. --- Sorry, this property is SOLD ---
| Lot Size: | 14.4 acres |
| Location: | Lot 21-D Falconer Road, MacDougall Settlement, New Brunswick. |
| Reference #: | NB-5109 |
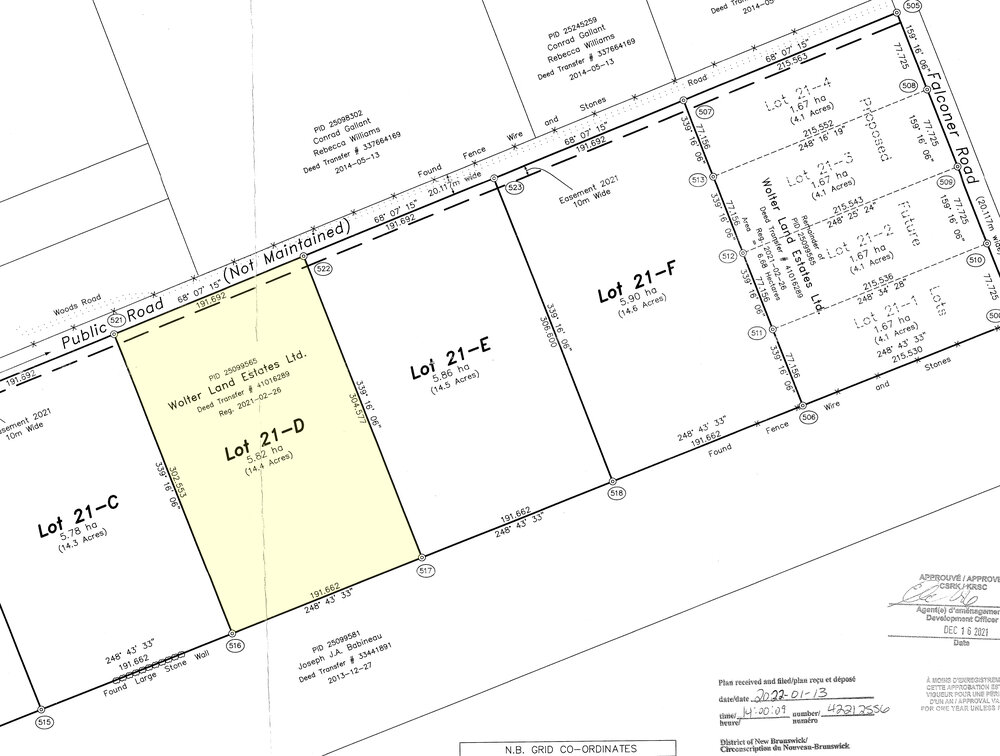
Land located on the West side of Falconer Road in MacDougall Settlement, in the Parish of Dundas, in the County of Kent and Province of New Brunswick. Lot 21-D on a registered Survey Plan.
SIZE: 14.4 acres (5.82 hectares)
- 628.9 feet wide (191.692 meters) with the same amount of road front along a recently improved Crown Reserve Public Road.
- An average length of 996.1 feet (303.6 meters).
- A land survey was just completed - property corners have survey pins and lot lines are clearly marked.
- Great terrain more or less level throughout.
- Beautifully treed throughout in evergreen and deciduous tree varieties from Fir, Spruce, Pine, Maple, Birch.
- A great site for camping, trailer or even an off-grid home!
- Electricity roughly 1 kilometer away to the south along Falconer Road.
- No restrictive covenants or requirements to build or improve the property.
- Good access to the paved and maintained Falconer Road which gets you to the community of Notre-Dame (to the north), and to MacDougall Settlement (to the south).
- An easy 20 minute drive to the City of Moncton and all amenities including health care, schools, home improvement centers, Costco, food and entertainment and airport.
- Just 10 minutes to the Cocagne River and beautiful beaches and shoreline along the Northumberland Strait between Cocagne, Grande-Digue, Shediac, and Cap-Pele.
This lovely property is located in Southeastern New Brunswick, in the small community of MacDougall Settlement, just north of the city of Moncton and 10 minutes inland from the coastal communities and beaches along the Northumberland Strait. This is an ideal country location with lots of room and plenty of privacy. Ideal for summer and winter recreation property and a fantastic location for off-grid residential location.
14.4 acres level ground which is beautifully treed throughout in mixed forest of various evergreen and deciduous tree varieties. The Northern property boundary follows the access road for 629.9 feet (191.7 meters). Eastern, Southern and Western property boundaries measure 999.3 feet (304.6 meters), 628.8 feet (191.7 meters) and 992.8 feet (302.6 meters) respectively (refer to survey plan in photo gallery). There is ample room to develop and utilize the land to your liking.
Access is via a non-maintained crown reserve road running east to west from the main road – Falconer Road which is paved, maintained and plowed for snow through the winter months. The crown reserve road was recently widened and improved allowing excellent vehicle access to your land.
Recreation trails for hiking, ATVing, and biking are within easy reach of your property and provides access many miles of trails through thousands of acres of woodlands, brooks, crown lands for your recreation use. For those who enjoy winter activities such as snowmobiling, the maintained trail #514 is just a few miles from your land and connects you to a fantastic trail network throughout the province of New Brunswick.
25 minutes south of your property is the city of Moncton with a population of 120,000+. This energetic city is highlighted by wonderful recreational and entertainment opportunities, schools, Universite de Moncton, International Airport and many employment opportunities that have helped to create a thriving city that has seen a net in-migration and a dramatic increase in the housing and construction market over the past several years.
All amenities including schools, healthcare, banking, home improvement centers are within easy reach between your property and Moncton.
Getting here is easy. From the Trans-Canada Highway (Highway 2) through Moncton, take the Elmwood Drive Exit and head north on Elmwood Drive (Highway 115) past Costco and continue North through Irishtown to Notre-Dame, roughly 23 kilometers or 20 minutes distant. At Notre-Dame turn right on Chemin Cocagne Sud Rd and your next right on Falconer Road. Follow Falconer Road south for 3 kilometers to the newly constructed access road on your right. Lot 21-D begins 598.9 meters up the access road on your left. Lot signs are visible and property boundary lines are clearly marked.
Sorry, this property is SOLD. To see available lots and acreage in New Brunswick, click HERE.
