6.3 acres River Denys Road, Cape Breton, Nova Scotia
This is a lovely 6.3 acre parcel located on the western side of Cape Breton Island, Nova Scotia, 5 miles inland from coastal communities and amenities. An off-grid site offering ample road front with surrounding crown lands and recreational trails ideal for outdoor fun in all seasons. A great site for your remote acreage / cabin / maritime get-away. --- Sorry this property is SOLD ---
| Lot Size: | 6.30 acres |
| Location: | Rear Judique South, River Denys Road, Cape Breton, Nova Scotia |
| Reference #: | NS-2063 |
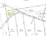
Parcel located along River Deny Road, in Rear Judique South, Inverness County, Cape Breton, Nova Scotia. PID 50325083.
SIZE: 6.30 acres = 2.55 hectares
- A nice size property with 345.20 feet (105.22 meters) along River Denys Road and 1,007.36 feet (307.04 meters) along Campbell Road (aka MacInnis Rd) - a gravel surfaced road.
- A great area for hunting and outdoor recreation.
- Good ground, gently sloping with an elevation of ~200 meters (650 feet) above sea level.
- Nearby Crown Lands.
- Surveyed and registered plan.
- Harvested for timber in ~ 2017, regenerating well.
- River Denys Road is a maintained snowmobile trail in winter months offering access to a fantastic network of trails and connections across western Cape Breton – from Port Hastings all the way up into the Cape Breton Highlands.
- Lots of wildlife around.
- The Graham River runs through the adjoining Crown Land parcel to the south. Beautiful wilderness hiking through mature forests following the meandering river.
- About 10 minutes from the coastal community of Judique - general store, gas, post office, community centre, Celtic Music Interpretive Centre.
- At Judique you have access to the Celtic Shores Coastal Trail – a 92 kilometer multi-use trail following the coastline.
- Wide sandy beaches at Port Hood and Mabou within 30 minutes of your land.
- Just 30 minutes from Port Hastings and Port Hawkesbury and the Canso Causeway which connects to mainland Nova Scotia.
- From your land drive north to Cheticamp and access the Cape Breton Highlands National Park – fantastic sights and outdoor adventure!
- Approximately 3 hours from Halifax International Airport.
Sorry this property is SOLD. To see available lots and acreage in Nova Scotia, click HERE.
