16.4 acres Southeastern New Brunswick.
Here is a very attractive 16.4 acre parcel of land for sale in beautiful southeastern New Brunswick, Canada. With excellent year round access on the paved and maintained Route 940, and a few miles from the Acadian Coastal Drive, this is an excellent parcel for someone looking for an acreage for hobby farm, recreation, camping and for investment in vacant land. --- Sorry this property is SOLD ---
| Lot Size: | 16.4 acres |
| Location: | Shemogue, New Brunswick, CANADA. |
| Reference #: | NB-901 |

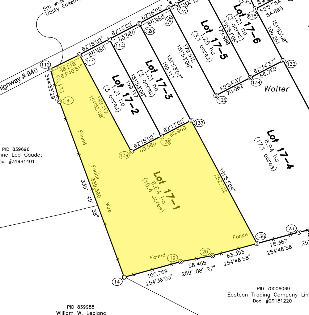
Lot 17-1 (16.4 acres) with 191 feet (58.22 meters) road front along Route 940. Electricity and phone service is available.
Drone view overtop of the property.
Looking east along Route 940 towards the community of Shemogue, Shemogue Bay and the Northumberland Strait coastline.
Looking into your land from roadside. The lot was cleaned up at roadside. Approximately 1 acre of land was brush mowed.
Land located at the South Side of Highway 940, in Shemogue, in the Parish of Botsford, in the County of Westmorland, and Province of New Brunswick. Lot 17-1 on plan of survey.
Size: 16.4 acres (6.64 hectares)
- 191.00 feet (58.218 meters) of road front on Route 940.
- Depth of over 1312.3 feet (400 meters).
- Width of over 812.39 feet (247.62 meters).
- Power and telephone service at roadside.
- Survey work recently completed.
- Excellent access from Highway 15 (Acadian Coastal Drive).
- A great spot for a rural residence, hobby farm, horses and recreation.
- 5 minutes from the seaside community of Petit Cap, and 10 minutes to Cap Pele along the Northumberland Strait where you can enjoy the beautiful sandy shores and fresh locally caught and prepared seafood.
- Less than 30 minutes to the popular oceanside town of Shediac - known as the Lobster Capital of the World, and home of some of the nicest sand beaches in New Brunswick.
- Less than 40 minutes to the City of Moncton and Greater Moncton International Airport.
This surveyed 16.4 acre parcel offers 191 feet of road front on the south side of Route 940 in Shemogue - a lightly settled area with friendly residents, nice home sites, open farm land, woodland, and recreation properties. Your acreage here provides you with plenty of room and privacy and develop the land to your liking (See survey plan). The land is suitable for a number of uses, including residential, recreation, hobby farming and forestry. This is a wonderful investment in rural acreage with low ownership costs and no obligations to build or improve.
Topography of the land is more or less level and dry being approximately 100 feet above sea level. A few large Spruce and deciduous trees remain on the land after a tree harvest in 2015. Approximately 1 acre of land has been brush cleared by road side.
Your land in only minutes from the ocean and lovely coastal scenery along the Northumberland Coast - wide sandy beaches, warm salt water (warmest north of Virginia). In the nearby charming communities you will meet friendly folks. Cap-Pele is one of these communities, only 10 kilometers (6.2 miles) north. The economy here depends mainly on fishing…. with over 60 fishing vessels in the villages 3 wharves fishing mainly for herring, mackerel, and lobster. In Cap-Pele you can find all your amenities and discover a wide variety of cultural and recreational activities. In summer, the villages’ sandy beaches are among the most beautiful in Eastern Canada. Aboiteau Beach is a 5-star beach that offers 5km (3mi) of shoreline and various services that are the highest quality. It has become a preferred family destination. Several community fishing wharfs that dot the coastline are just minutes away - here you can buy fresh seafood and lobster directly from the fishermen and enjoy delicious Acadian cuisine on the pier.
For the outdoor enthusiast, your land is also within easy reach of several lakes and streams in the area - Poucette Lake, Square Lake, Collins Lake and Niles Lake where one can enjoy great fishing. Large areas of nearby crown lands are perfect for those who enjoy exploring woodlands and hunting. In winter months miles and miles of maintained snowmobile trails are within easy reach, linking much of the Province and allowing almost endless winter adventure.
Direction to your retreat. Fly to Moncton. From Moncton take Highway #15 Northeast to Shediac, continuing East on #15 for another 30 kilometers to Shemogue. Here exit Highway# 15 onto Route 940 (direction Sackville). Once you are on Route 940 your land is just 1.5 kilometers ahead and you have arrived. Your land is on the left (South Side of the road). Wood posts and lot signs will be placed at road side shortly.
Sorry this lot is SOLD. To view available lots and acreage in New Brunswick, click HERE.

Lot 17-1 (16.4 acres) with 191 feet (58.22 meters) road front along Route 940. Electricity and phone service is available.
Drone view overtop of the property.
Looking east along Route 940 towards the community of Shemogue, Shemogue Bay and the Northumberland Strait coastline.
Looking into your land from roadside. The lot was cleaned up at roadside. Approximately 1 acre of land was brush mowed.
